3 siklon tropis aktif bersamaan, akankah dampaknya sedahsyat Senyar di Sumatera?

Badan Meteorologi, Klimatologi, dan Geofisika (BMKG) mendeteksi tiga siklon tropis di wilayah Samudra Hindia selatan Indonesia masih aktif hingga Kamis (18/12/2025).
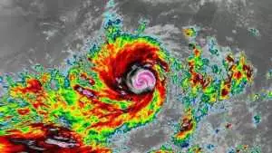
Ketiga siklon tersebut di antaranya Siklon Tropis Bakung, Bibit Siklon Tropis 93S, dan Bibit Siklon Tropis 95S.
Secara umum, kemunculan tiga bibit siklon dalam satu waktu yang sama itu berdampak pada cuaca ekstrem, seperti hujan lebat, angin kencang, dan gelombang tinggi di sejumlah wilayah di Indonesia.
Lantas, apakah dampak ketiga bibit siklon tropis itu sama seperti kemunculan Siklon Tropis Senyar yang memicu terjadinya banjir serta tanah longsor di Aceh dan Sumatera?
Penjelasan BMKG
Prakirawan TCWC Jakarta Afif Shalahuddin membenarkan bahwa Indonesia tengah dikepung tiga siklon tropis, yakni Siklon Tropis Bakung serta dua bibit siklon tropis 93S dan 95S.
Meski demikian, dia memastikan dampak ketiga mata badai ini tidak serupa dengan Siklon Tropis senyar yang muncul di daratan.
Sebaliknya, ketiga siklon tropis ini terbentuk di lautan.
"Jika Bibit Siklon Tropis 93S dan 95S berkembang, jalurnya cenderung tetap berada di laut dan indikator saat ini tidak menunjukkan potensi kuat untuk bergerak ke arah daratan Indonesia seperti yang terjadi pada Senyar," ucapnya, Kamis (18/12/2025).
Afif juga menepis kabar yang beredar di media sosial dan menyebut bahwa Siklon Tropis Senyar akan kembali muncul di Indonesia pada 2026.
Menurutnya, setiap siklon yang terbentuk merupakan sistem baru yang berbeda dengan sebelumnya.
"Hingga saat ini tidak ada indikasi dari model iklim maupun prakiraan musiman bahwa akan ada sistem yang spesifik menyerupai Senyar pada Januari 2026," ucapnya.
Meski demikian, prakiraan BMKG menyatakan bahwa Desember 2025-Januari 2026 adalah periode aktif pembentukan siklon tropis di Samudra Hindia selatan Indonesia.
Oleh sebab itu, masyarakat diimbau untuk tetap waspada terhadap dampak ketiga siklon tersebut.
Apalagi, Bibit Siklon 93S dan 95S diperkirakan masih memicu peningkatan pertumbuhan awan hujan, terutama dalam bentuk hujan sedang–lebat yang bersifat lokal, angin kencang, dan gelombang tinggi di beberapa perairan Indonesia bagian selatan.
"BMKG terus melakukan pemantauan intensif dan akan menyampaikan pembaruan resmi jika terdapat perubahan signifikan dalam perkembangan sistem ini," ujarnya.












